








Teren intravilan de 2.000 m² în Mărișel – Reprezentare Exclusivă Integra Imobiliare
Integra Imobiliare recomandă spre achiziție, în reprezentare exclusivă, un teren cu potențial ridicat de dezvoltare, situat în Mărișel, în apropierea pârtiei de schi.
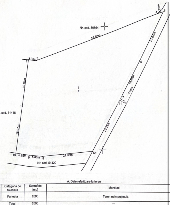
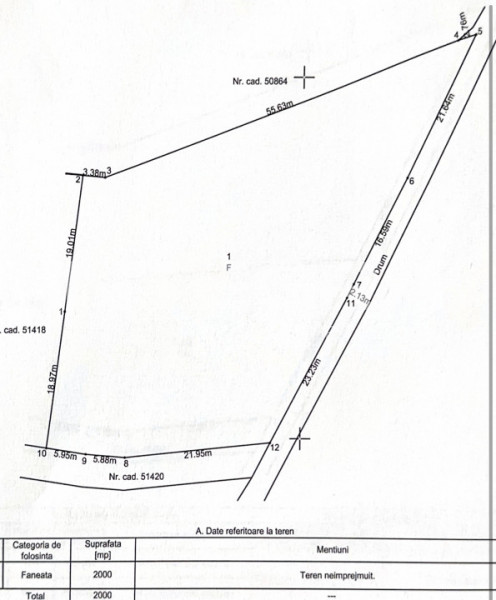
Terenul are o suprafață de 2.000 m² și beneficiază de o expunere est–sud–vest, cu lumină naturală pe tot parcursul zilei, fiind ideal pentru construcții cu vedere panoramică. Dispune de curent electric la limita proprietății, iar în urma unui studiu geologic au fost identificate trei surse subterane de apă (izvoare). Accesul se face facil, pe un drum pietruit în stare foarte bună.
Proprietatea este intravilană și are certificat de urbanism, fiind potrivită pentru dezvoltări turistice și servicii conexe. Se poate parcela în două loturi egale de câte 1.000 m².
Terenul se află într-o zonă locuită, având vecinătăți cu cabane construite, ceea ce oferă un cadru sigur și integrat în peisajul montan.
Despre Mărișel:
Mărișel este una dintre cele mai căutate zone turistice din județul Cluj, datorită atractivității sale în toate sezoanele. În sezonul rece, zona este foarte populară pentru schi și sporturi de iarnă, având pârtie proprie. În sezonul cald, oferă multiple posibilități de drumeții, ciclism, mountain biking și activități outdoor.
În Mărișel vei găsi:
• Terase și restaurante, baruri
• Pistă pentru biciclete
• Rollercoaster montan în curs de instalare
Accesibilitatea este excelentă — localitatea se află la aproximativ o oră de Cluj-Napoca, fiind astfel o destinație ideală pentru relaxare de weekend sau investiții în turism.
Ideal pentru:
• Investitori care doresc să dezvolte două duplexuri, rezultând în patru unități de cazare
• Construirea unei cabane private cu teren generos și facilități de relaxare
• Afaceri în turism, în regim hotelier sau cabanier, într-o zonă cu cerere ridicată tot timpul anului
Prețul este foarte competitiv raportat la proprietățile similare din zonă, iar potențialul de returnare a investiției este ridicat, având în vedere dezvoltarea accelerată a regiunii.
Contactează Integra Imobiliare pentru mai multe detalii sau pentru a programa o vizionare.